ID CP2214327

Teren 19 hectare compact Ilfov -acces DN2

ID CP2214327

2,280,000 € (negociabil)

Teren de 190,000 mp de vânzare
Sindrilita
190,000 mp

Terra Estate - primul pas catre acasa!

Teren de 190000 mp, situat la 25 km de Bucuresti!

Teren plat si deschis (fara cladiri, fara copaci, fara radacini)

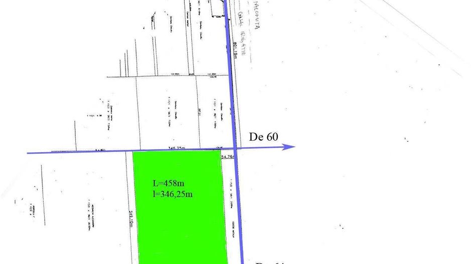
Dimensiunile sunt 350m pe 550m.

Situata in ILFOV, la 800 de metri de drumul european E85 (Lituania-Grecia), este o zona de dezvoltare majora.

Terenul este in imediata apropiere 'PIONEER HI-BRED ROMANIA' si 'MASTERPLAST ROMANIA'.

Toate actele necesare in regula.

Pretul : 7€/m2

Citește mai mult

  • Tip teren
    Agricol
  • Suprafață teren
    190,000 mp
  • Clasificare
    Extravilan
  • Disponibilitate
    Imediat

Facilități

Viorel Stoean - Terra Estate
Viorel Stoean
Broker Owner

0725251195


Solicită chiar acum o vizionare
Telefon
Sună acum Solicită vizionare
Necesare:

Site-ul nu poate funcționa corect fără aceste cookie-uri. Vezi cookie-urile

Statistică:

Strângem statistici anonime despre voi, vizitatorii unici, pentru a vă îmbunătăți experiența dumneavoastră. Vezi cookie-urile

Marketing:

Pentru a ne promova mai eficient serviciile noastre, folosim cookies pentru a vă identifica și a vă oferi proprietăți și servicii personalizate. Vezi cookie-urile

Acest site folosește cookies, află detalii. Alege ce tipuri de cookies dorești să permitem: